Joined 9 Aug 2022
Braconidae (family)
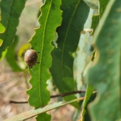
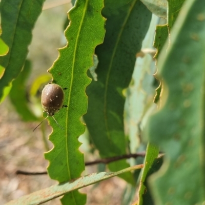
Calomela vittata
Sextius virescens
Elaphodes sp. (genus)
Paropsisterna m-fuscum
Paropsis aegrota
Nymphes myrmeleonoides
Acrididae sp. (family)
Chauliognathus tricolor
Monoctenia falernaria
Monolepta froggatti
Calomela juncta
Goniaea australasiae
Opistoplatys australasiae
Pseudoperga guerinii
Acrida conica
Poecilometis strigatus
Asura lydia
Cadmus sp. (genus)
Rhinaria sp. (genus)
Agonoscelis rutila
Lissopimpla excelsa
Merimnetes (genus)
Calliphora sp. (genus)
Hylaeus (Prosopisteron) sp. (genus & subgenus)
Cicadellidae (family)
Orthodera ministralis
Calomela parilis
Trachymela sp. (genus)
Cadmus (Cadmus) litigiosus
Amorbus (genus)
Paropsisterna cloelia
Scarabaeidae (family)
Junonia villida
Paropsis atomaria
Alcaeus varicornis
Gynoplistia (Gynoplistia) bella
Utetheisa (genus)
Vanessa kershawi
Chrysolarentia lucidulata
Castiarina scalaris
Scaptia (Scaptia) auriflua
Rutilia (Chrysorutilia) formosa
Phalaenoides tristifica
Porrostoma rhipidium
Heteronympha merope
Eleale simplex
Pollanisus (genus)
Ocirrhoe unimaculata
Pterohelaeus planus
Taxeotis intextata
Austrogomphus guerini
Hippotion scrofa
Praxibulus sp. (genus)
Lepidoscia cataphracta
Harmonia conformis
Pauropsalta mneme
Gryllotalpa australis
Epyaxa subidaria
Eutrichopidia latinus
Palaeosia undescribed species
Dasypodia selenophora
Perga sp. (genus)
Delias harpalyce
Melangyna viridiceps
Cleobora mellyi
Ischnotoma (Ischnotoma) rubriventris
Iridomyrmex purpureus
1 « 11 12 13 14 15 16
The requested information will be emailed to you in CSV format.
Terms of use
NatureMapr data export is a privilege provided to moderators.
By exporting NatureMapr data, you agree to:
Breach of terms will result in moderator privileges being revoked.
Your export is being prepared...
We'll email it to you as soon as it's ready.
Note: This process may take up to an hour.