TEST

Sidymella hirsuta

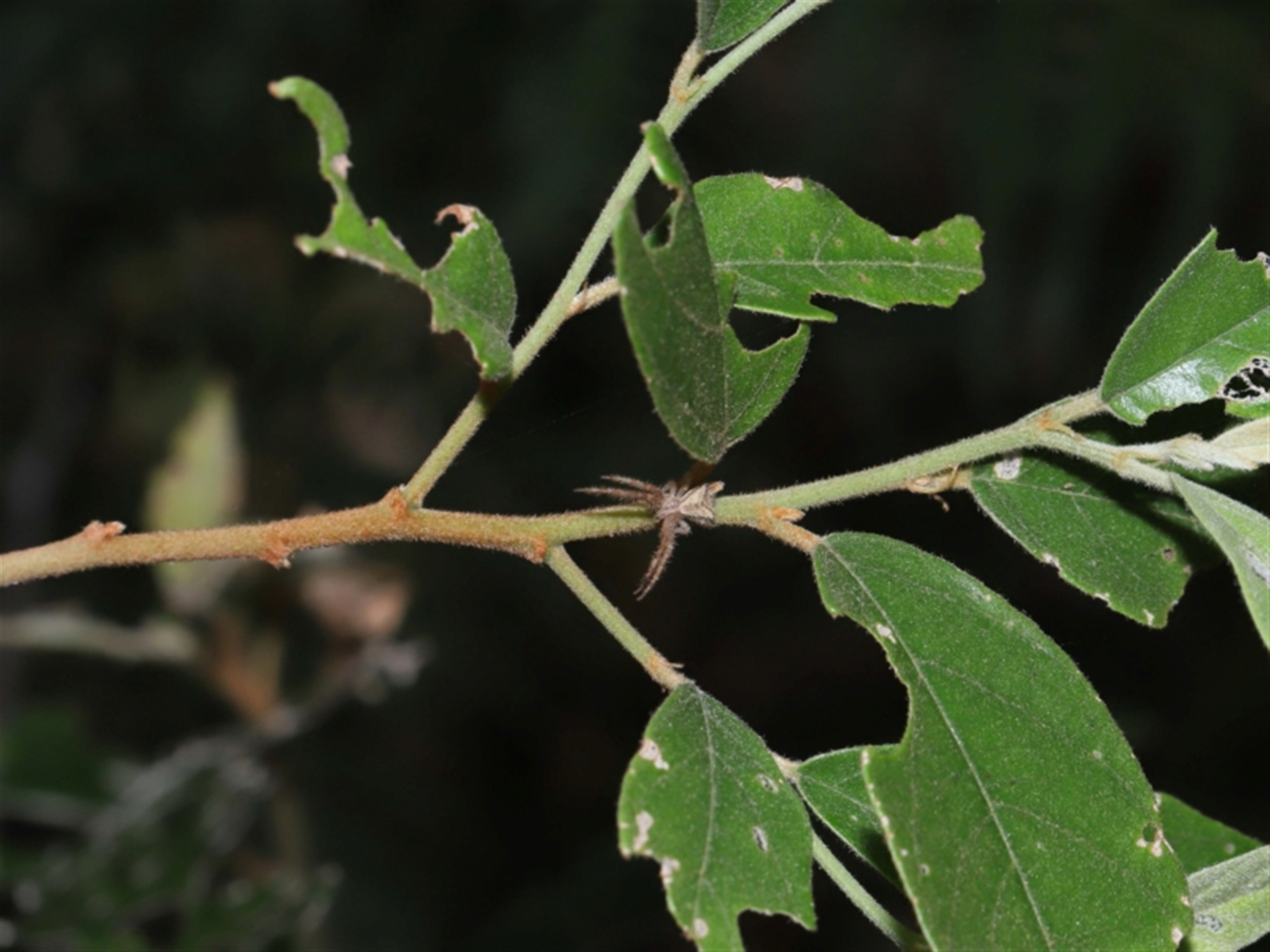
Hairy crab spider at Capalaba, QLD

Sidymella hirsuta at Capalaba, QLD - 1 Mar 2024 10:08 AM
Sidymella hirsuta at Capalaba, QLD - 1 Mar 2024 10:08 AM
Sidymella hirsuta at Capalaba, QLD - 1 Mar 2024 10:08 AM
Sidymella hirsuta at Capalaba, QLD - 1 Mar 2024 10:08 AM
Sidymella hirsuta at Capalaba, QLD - 1 Mar 2024 10:08 AM
Request use of media

Identification history

Sidymella hirsuta 19 May 2025 MichaelMulvaney
Sidymella sp. (genus) 4 Mar 2024 TimL

Identify this sighting


Please Login or Register to identify this sighting.

User's notes

This small spider had remarkable spikey camouflage which appeared to be influenced by its surroundings. Thanks to Barbara for the initial sighting.

Be the first to comment


Please Login or Register to comment.

Location information

Sighting information

Additional information

  • 12mm to 25mm Animal size

Species information

Record quality

  • Images or audio
  • More than one media file
  • Verified by an expert moderator
  • Nearby sighting(s) of same species
  • GPS evidence of location
  • Description
  • Additional attributes
834,128 sightings of 22,989 species from 14,478 members
CCA 3.0 | privacy
NatureMapr is developed by at3am IT Pty Ltd and is proudly Australian made