TEST

Sextius virescens

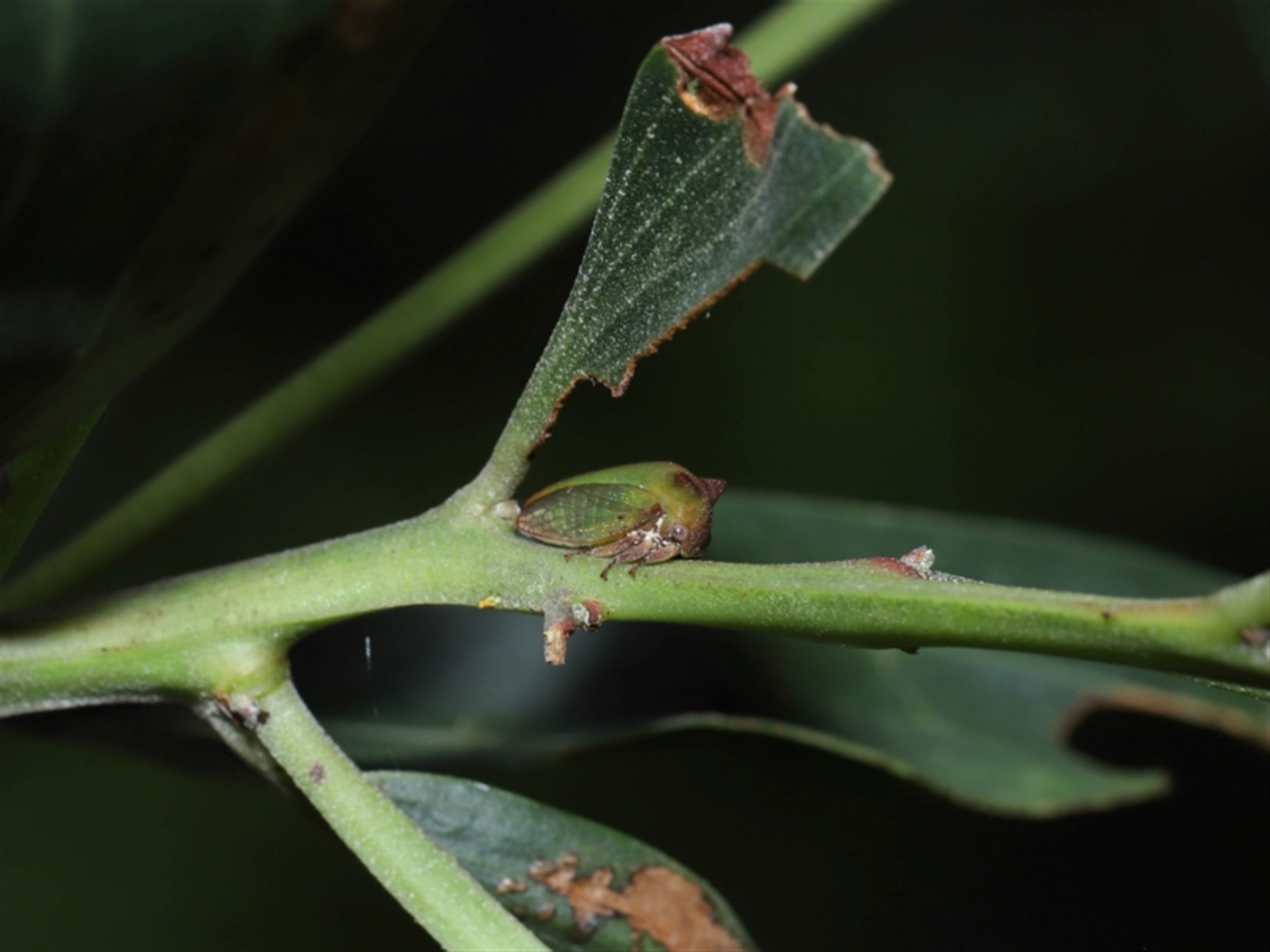
Acacia horned treehopper at Capalaba, QLD

Sextius virescens at Capalaba, QLD - 1 Mar 2024 10:01 AM
Sextius virescens at Capalaba, QLD - 1 Mar 2024 10:01 AM
Sextius virescens at Capalaba, QLD - 1 Mar 2024 10:01 AM
Sextius virescens at Capalaba, QLD - 1 Mar 2024 10:01 AM
Sextius virescens at Capalaba, QLD - 1 Mar 2024 10:01 AM
Request use of media

Identification history

Sextius virescens 4 Mar 2024 AlisonMilton
Sextius virescens 4 Mar 2024 CarbonAI
Sextius virescens 4 Mar 2024 TimL

Identify this sighting


Please Login or Register to identify this sighting.

User's notes

Two other hoppers that were seen on the same bush and in close proximity, are covered by separate sightings. Thanks to Barbara for the initial sighting.

Be the first to comment


Please Login or Register to comment.

Location information

Sighting information

Additional information

  • 5mm to 12mm Animal size
  • Alive / healthy Animal health

Species information

Record quality

  • Images or audio
  • More than one media file
  • Verified by an expert moderator
  • Nearby sighting(s) of same species
  • GPS evidence of location
  • Description
  • Additional attributes
834,128 sightings of 22,989 species from 14,478 members
CCA 3.0 | privacy
NatureMapr is developed by at3am IT Pty Ltd and is proudly Australian made