TEST

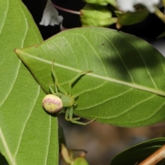
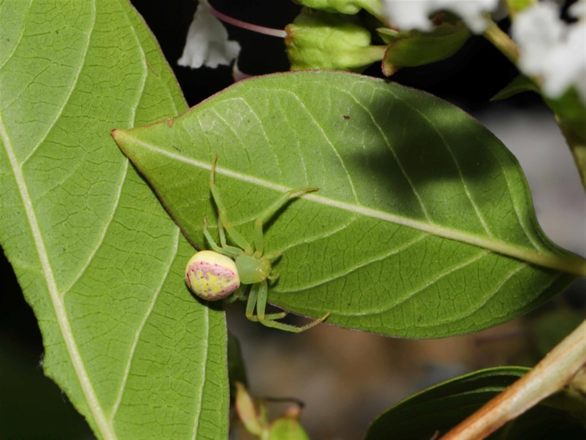
Lehtinelagia prasina

Leek-green flower spider at Brisbane City, QLD

Lehtinelagia prasina at Brisbane City, QLD - 23 Jan 2024 12:00 PM
Lehtinelagia prasina at Brisbane City, QLD - 23 Jan 2024 12:00 PM
Lehtinelagia prasina at Brisbane City, QLD - 23 Jan 2024 12:00 PM
Lehtinelagia prasina at Brisbane City, QLD - 23 Jan 2024 12:00 PM
Request use of media

Identification history

Lehtinelagia prasina 19 May 2025 MichaelMulvaney
Lehtinelagia prasina 28 Apr 2024 WendyEM
Sidymella sp. (genus) 27 Jan 2024 TimL

Identify this sighting


Please Login or Register to identify this sighting.

Be the first to comment


Please Login or Register to comment.

Location information

Sighting information

Additional information

  • 12mm to 25mm Animal size

Species information

Record quality

  • Images or audio
  • More than one media file
  • Verified by an expert moderator
  • Nearby sighting(s) of same species
  • GPS evidence of location
  • Description
  • Additional attributes
834,128 sightings of 22,989 species from 14,478 members
CCA 3.0 | privacy
NatureMapr is developed by at3am IT Pty Ltd and is proudly Australian made