TEST

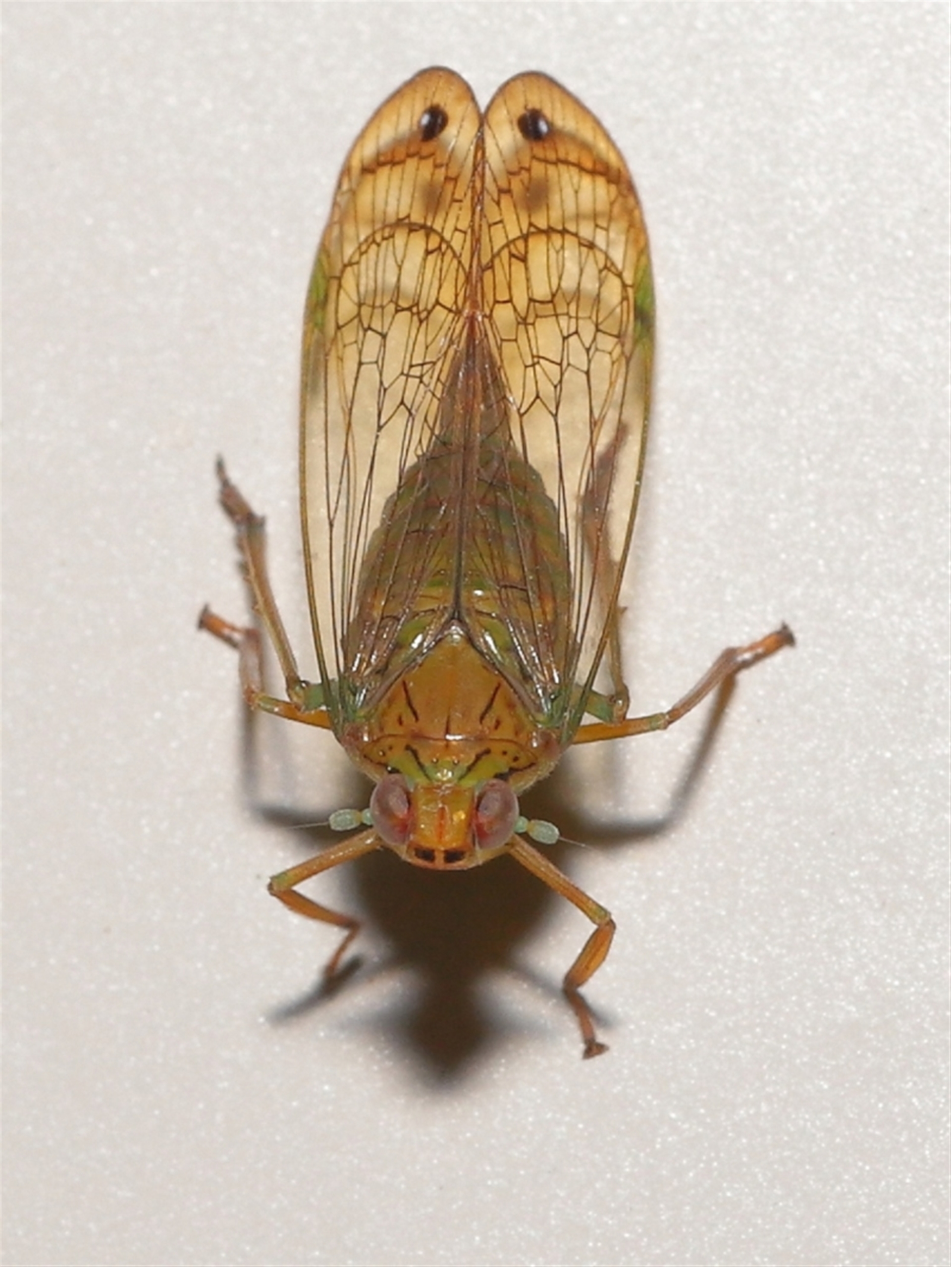
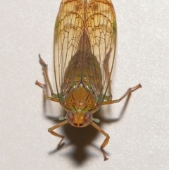
Magia subocellata

Palm Planthopper at Wellington Point, QLD

Magia subocellata at Wellington Point, QLD - suppressed
Magia subocellata at Wellington Point, QLD - suppressed
Magia subocellata at Wellington Point, QLD - suppressed
Magia subocellata at Wellington Point, QLD - suppressed
Magia subocellata at Wellington Point, QLD - suppressed
Request use of media

Identification history

Magia subocellata 30 Mar 2025 MichaelMulvaney
Cicadellidae (family) 8 Aug 2023 CarbonAI
Unverified 8 Aug 2023 TimL

Identify this sighting


Please Login or Register to identify this sighting.

User's notes

Sighted at rest on a fence. Possibly a Palm Planthopper, Magia subocellata.

Be the first to comment


Please Login or Register to comment.

Location information

Sighting information

Additional information

  • 12mm to 25mm Animal size
  • Alive / healthy Animal health

Species information

Record quality

  • Images or audio
  • More than one media file
  • Verified by an expert moderator
  • Nearby sighting(s) of same species
  • GPS evidence of location
  • Description
  • Additional attributes
834,128 sightings of 22,989 species from 14,478 members
CCA 3.0 | privacy
NatureMapr is developed by at3am IT Pty Ltd and is proudly Australian made