TEST

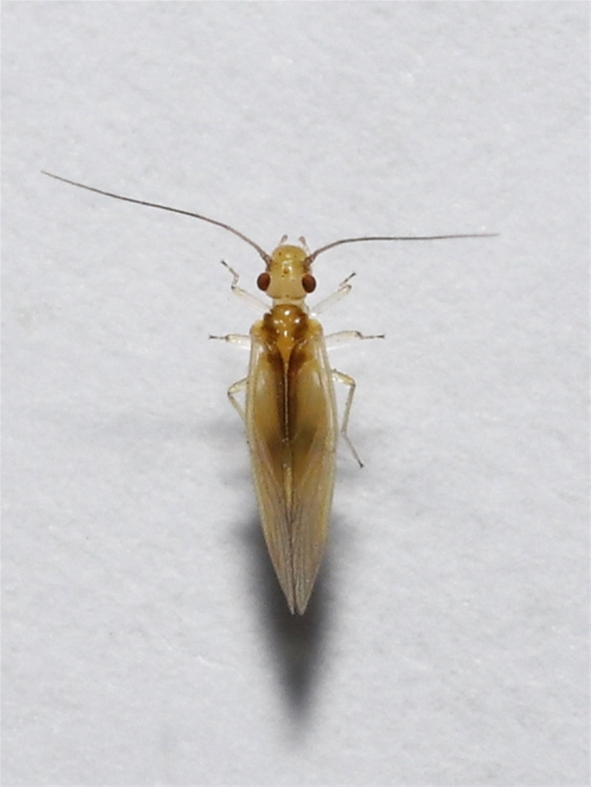
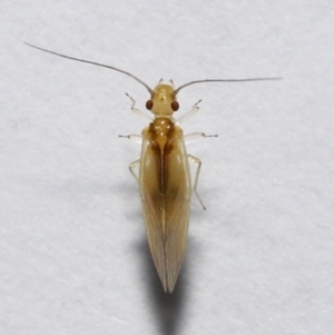
Valenzuela (Genus)

A barklouse at Wellington Point, QLD

Valenzuela (Genus) at Wellington Point, QLD - suppressed
Valenzuela (Genus) at Wellington Point, QLD - suppressed
Valenzuela (Genus) at Wellington Point, QLD - suppressed
Valenzuela (Genus) at Wellington Point, QLD - suppressed
Valenzuela (Genus) at Wellington Point, QLD - suppressed
Request use of media

Identification history

Valenzuela (Genus) 21 Apr 2025 MichaelMulvaney
Psyllidae sp. (family) 4 Jul 2023 CarbonAI
Psyllidae sp. (family) 4 Jul 2023 TimL

Identify this sighting


Please Login or Register to identify this sighting.

User's notes

Possibly a Psyllid.

Be the first to comment


Please Login or Register to comment.

Location information

Sighting information

Additional information

  • Less than 5mm Animal size
  • Alive / healthy Animal health

Species information

  • Valenzuela (Genus) Scientific name
  • A barklouse Common name
  • Not Sensitive
  • Cosmopolitan
  • Non-invasive or negligible
  • 7.7m to 638m Recorded at altitude

Record quality

  • Images or audio
  • More than one media file
  • Verified by an expert moderator
  • Nearby sighting(s) of same species
  • GPS evidence of location
  • Description
  • Additional attributes
834,128 sightings of 22,989 species from 14,478 members
CCA 3.0 | privacy
NatureMapr is developed by at3am IT Pty Ltd and is proudly Australian made