TEST

Unverified

Can you identify this sighting?

Unverified at suppressed - suppressed
Unverified at suppressed - suppressed
Unverified at suppressed - suppressed
Unverified at suppressed - suppressed
Unverified at suppressed - suppressed
Request use of media

Identification history

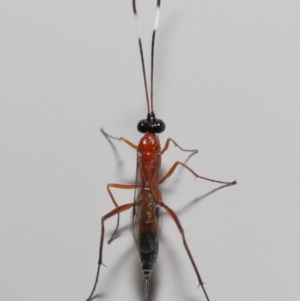
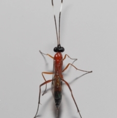
Stiromesostenus sp. (genus) 13 Jun 2023 TimL

Identify this sighting


Please Login or Register to identify this sighting.

User's notes

The first and fourth images show the wasp using its legs to remove some fine thread (spider's silk?) attached to it.

Be the first to comment


Please Login or Register to comment.

Sighting information

Additional information

  • 12mm to 25mm Animal size
  • Alive / healthy Animal health

Record quality

  • Images or audio
  • More than one media file
  • Verified by an expert moderator
  • Nearby sighting(s) of same species
  • GPS evidence of location
  • Description
  • Additional attributes
834,128 sightings of 22,989 species from 14,478 members
CCA 3.0 | privacy
NatureMapr is developed by at3am IT Pty Ltd and is proudly Australian made