TEST

Culicidae (family)

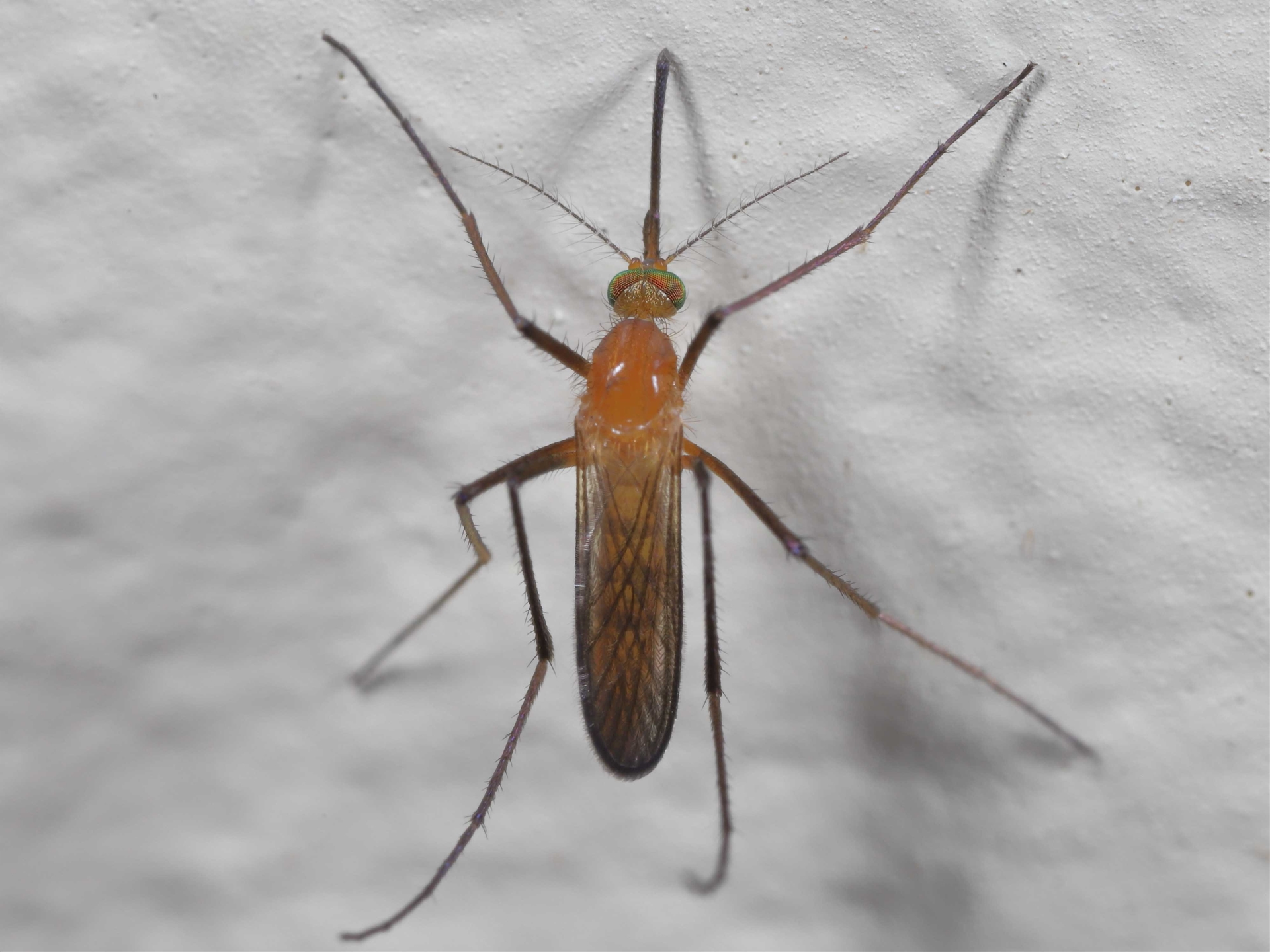
A mosquito at Wellington Point, QLD

Culicidae (family) at Wellington Point, QLD - suppressed
Culicidae (family) at Wellington Point, QLD - suppressed
Culicidae (family) at Wellington Point, QLD - suppressed
Culicidae (family) at Wellington Point, QLD - suppressed
Culicidae (family) at Wellington Point, QLD - suppressed
Request use of media

Identification history

Culicidae (family) 9 Jan 2025 MichaelMulvaney
Unverified 1 Mar 2023 TimL

Identify this sighting


Please Login or Register to identify this sighting.

User's notes

Sighted on the underside of a building's eaves. The images were taken upside down to improve viewing. Taken at 2.5x so the clarity is not the best.

Be the first to comment


Please Login or Register to comment.

Location information

Sighting information

Additional information

  • 5mm to 12mm Animal size
  • Alive / healthy Animal health

Species information

Record quality

  • Images or audio
  • More than one media file
  • Verified by an expert moderator
  • Nearby sighting(s) of same species
  • GPS evidence of location
  • Description
  • Additional attributes
834,128 sightings of 22,989 species from 14,478 members
CCA 3.0 | privacy
NatureMapr is developed by at3am IT Pty Ltd and is proudly Australian made