TEST

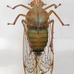
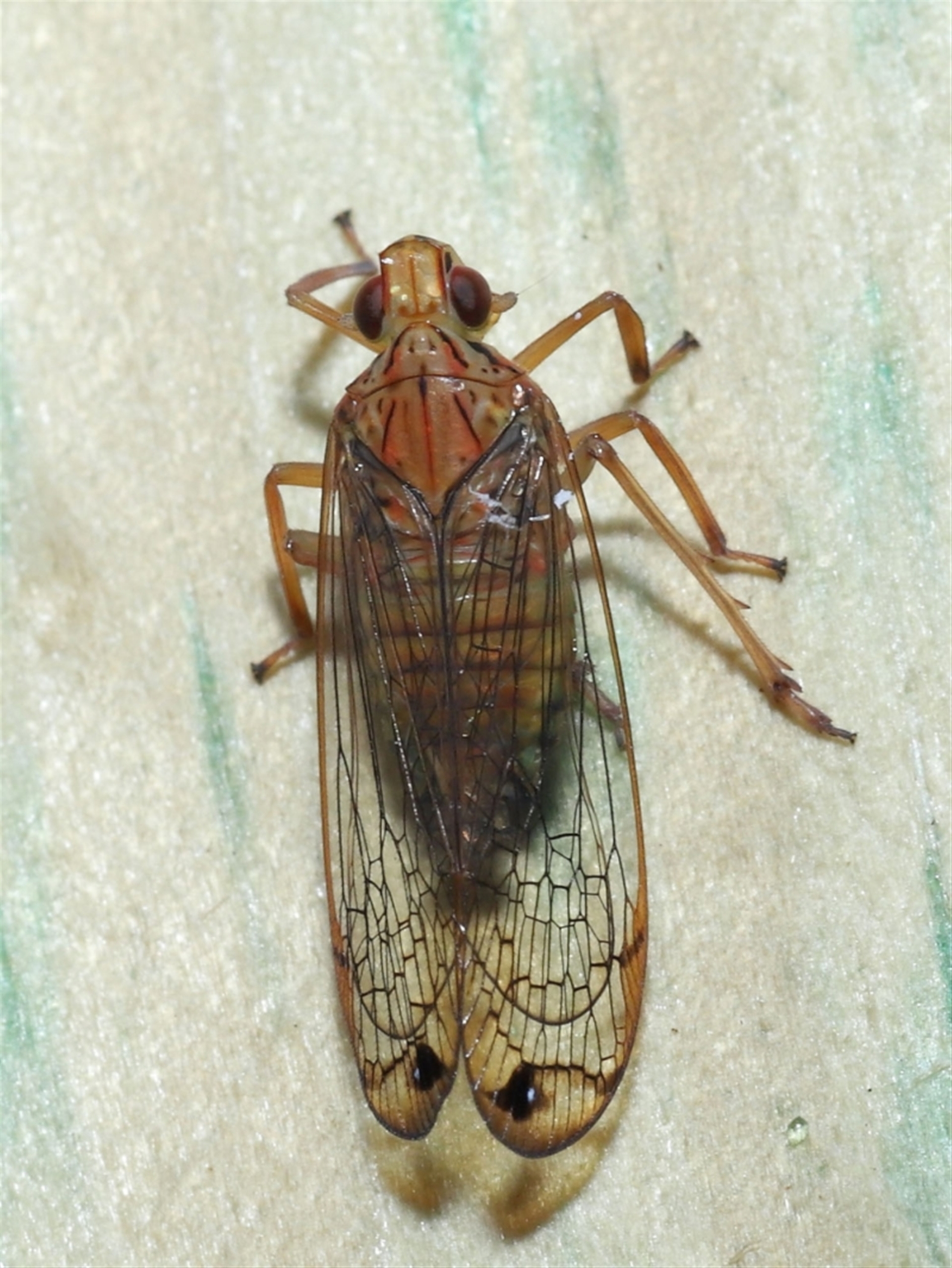
Magia subocellata

Palm Planthopper at Wellington Point, QLD

Magia subocellata at Wellington Point, QLD - suppressed
Magia subocellata at Wellington Point, QLD - suppressed
Magia subocellata at Wellington Point, QLD - suppressed
Magia subocellata at Wellington Point, QLD - suppressed
Magia subocellata at Wellington Point, QLD - suppressed
Request use of media

Identification history

Magia subocellata 23 Mar 2025 MichaelMulvaney
Unverified 12 Jan 2023 TimL

Identify this sighting


Please Login or Register to identify this sighting.

User's notes

The insect was sighting erratically moving sideways and backwards up a fence.

Be the first to comment


Please Login or Register to comment.

Location information

Sighting information

Additional information

  • 12mm to 25mm Animal size
  • Alive / healthy Animal health

Species information

Record quality

  • Images or audio
  • More than one media file
  • Verified by an expert moderator
  • Nearby sighting(s) of same species
  • GPS evidence of location
  • Description
  • Additional attributes
834,128 sightings of 22,989 species from 14,478 members
CCA 3.0 | privacy
NatureMapr is developed by at3am IT Pty Ltd and is proudly Australian made