TEST

Unverified

Can you identify this sighting?

Unverified at suppressed - suppressed
Unverified at suppressed - suppressed
Unverified at suppressed - suppressed
Unverified at suppressed - suppressed
Unverified at suppressed - suppressed
Request use of media

Identification history

Unverified 19 Dec 2022 TimL

Identify this sighting


Please Login or Register to identify this sighting.

User's notes

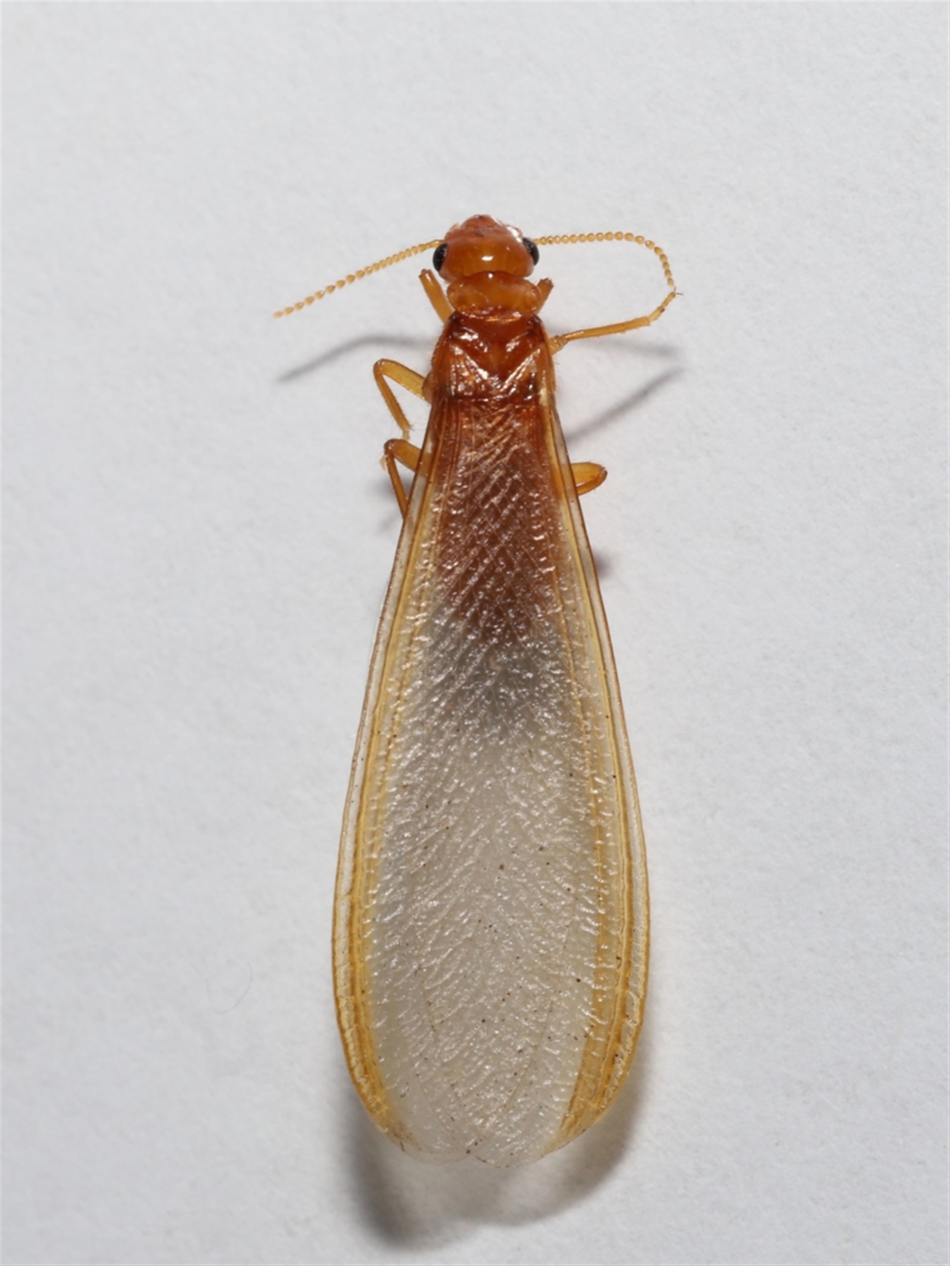
Possibly a male winged termite such as Zootermopsis angusticollis? See following sighting 4459662 for additional close-up detail.

Be the first to comment


Please Login or Register to comment.

Sighting information

Additional information

  • 12mm to 25mm Animal size
  • Injured / sick Animal health

Record quality

  • Images or audio
  • More than one media file
  • Verified by an expert moderator
  • Nearby sighting(s) of same species
  • GPS evidence of location
  • Description
  • Additional attributes
834,128 sightings of 22,989 species from 14,478 members
CCA 3.0 | privacy
NatureMapr is developed by at3am IT Pty Ltd and is proudly Australian made