TEST

Uroplata girardi

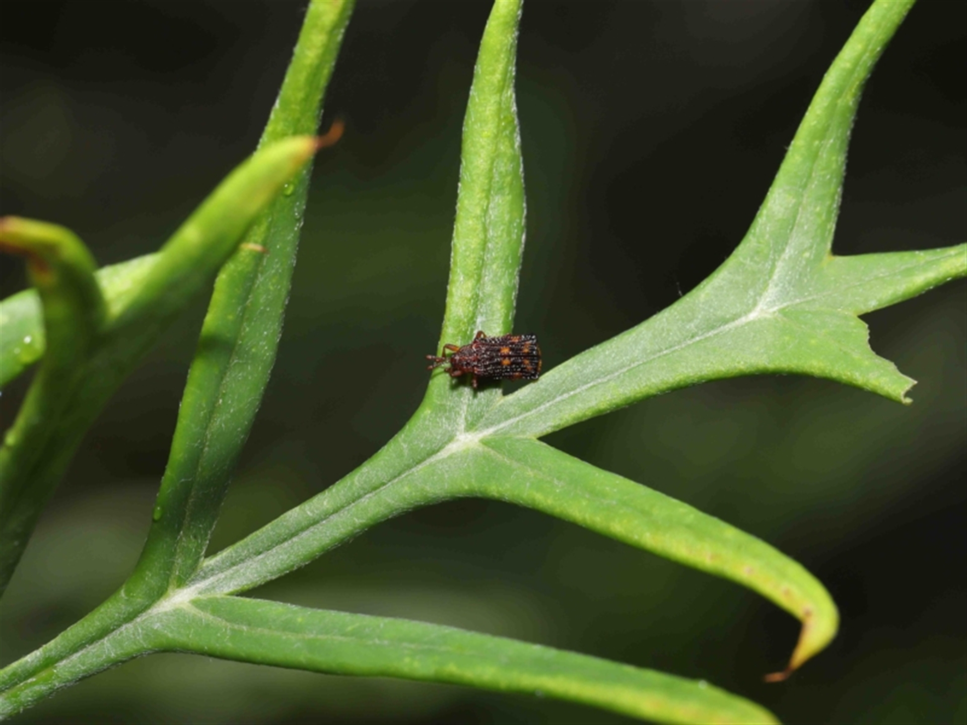
Lantana Hispid at Wellington Point, QLD

Uroplata girardi at Wellington Point, QLD - suppressed
Uroplata girardi at Wellington Point, QLD - suppressed
Uroplata girardi at Wellington Point, QLD - suppressed
Uroplata girardi at Wellington Point, QLD - suppressed
Uroplata girardi at Wellington Point, QLD - suppressed
Request use of media

Identification history

Uroplata girardi 3 Apr 2025 DiBickers
Unverified 21 Apr 2022 TimL

Identify this sighting


Please Login or Register to identify this sighting.

Be the first to comment


Please Login or Register to comment.

Location information

Sighting information

Additional information

  • 5mm to 12mm Animal size

Species information

  • Uroplata girardi Scientific name
  • Lantana Hispid Common name
  • Not Sensitive
  • Cosmopolitan
  • Non-invasive or negligible
  • 12.9m to 102.3m Recorded at altitude

Record quality

  • Images or audio
  • More than one media file
  • Verified by an expert moderator
  • Nearby sighting(s) of same species
  • GPS evidence of location
  • Description
  • Additional attributes
834,128 sightings of 22,989 species from 14,478 members
CCA 3.0 | privacy
NatureMapr is developed by at3am IT Pty Ltd and is proudly Australian made