TEST

Unverified

Can you identify this sighting?

Unverified at suppressed - suppressed
Unverified at suppressed - suppressed
Unverified at suppressed - suppressed
Unverified at suppressed - suppressed
Unverified at suppressed - suppressed
Request use of media

Identification history

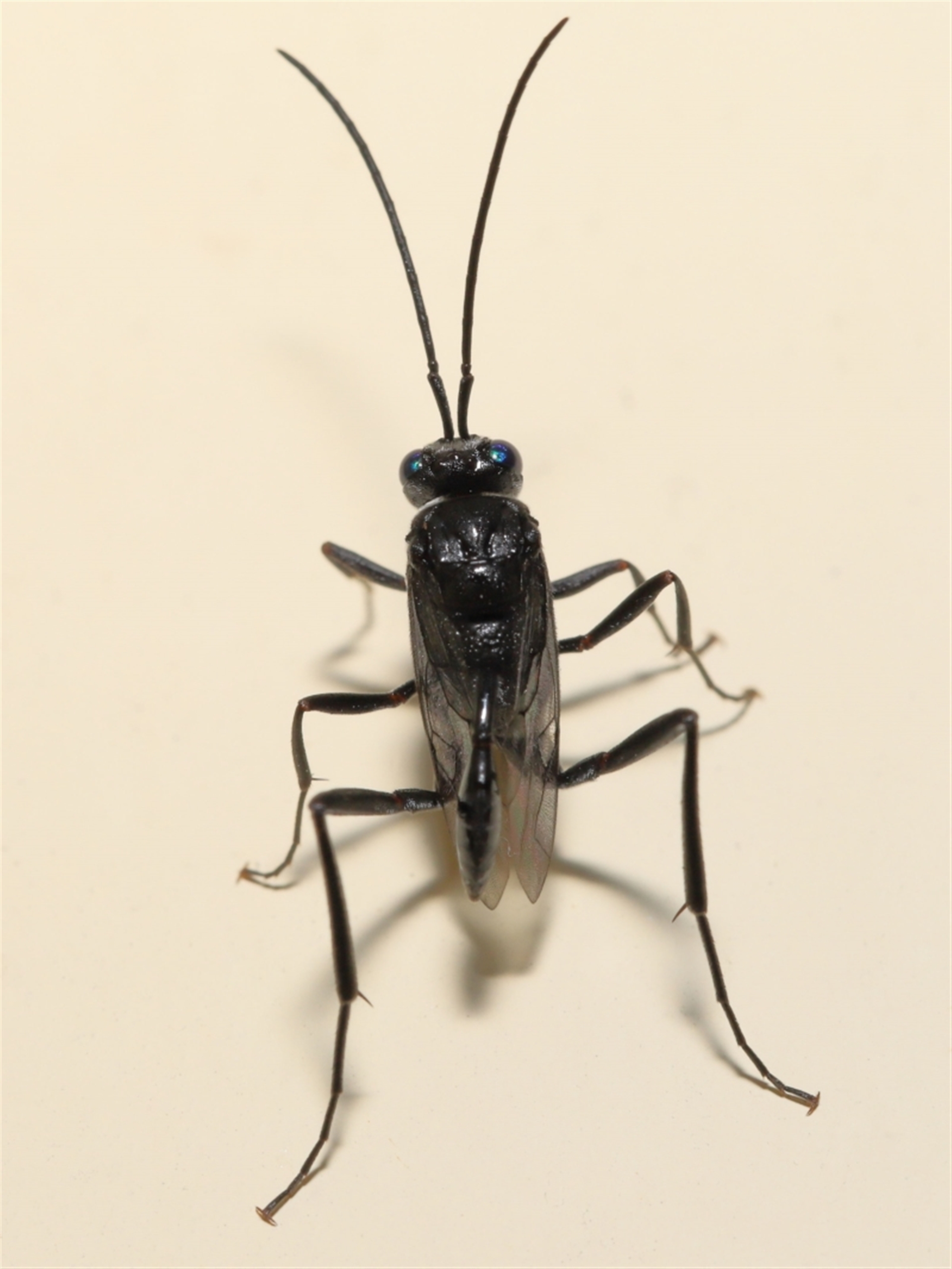
Acanthinevania sp. (genus) 28 Dec 2021 TimL

Identify this sighting


Please Login or Register to identify this sighting.

User's notes

Thanks to Nicholas S for the initial sighting.

1 comment

DiBickers wrote:
   26 Feb 2025
This looks like Evania Genus, possibly Evania appendigaster. I’m not sure how to setup a category for this though as I’m new to NatureMapr.

Please Login or Register to comment.

Sighting information

Additional information

  • 5mm to 12mm Animal size

Record quality

  • Images or audio
  • More than one media file
  • Verified by an expert moderator
  • Nearby sighting(s) of same species
  • GPS evidence of location
  • Description
  • Additional attributes
834,128 sightings of 22,989 species from 14,478 members
CCA 3.0 | privacy
NatureMapr is developed by at3am IT Pty Ltd and is proudly Australian made